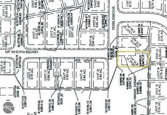
2211 Pebblebrook Drive, Kingsley

Driving Directions

$16,000

202 N. First St.
Leland, MI    49654

(415 ) 254-1622
info@manitou-life.com

Listing is courtesy of Coldwell Banker Schmidt Traver
231-922-2350


MLS: #1925263
  • Acres: 0.75
  • Dimensions: 124.9 x 261.8
  • School District: Kingsley Area Schools
  • Township: Mayfield
  • County: Grand Traverse
  • Road: Asphalt, Public Maintained Road
  • Topography: Level, Subject to Easements
  • Utilities: None
  • Zoning: Site Condominium
  • Amenities: None

A PLACE FOR YOU to have accessible Northern Michigan living! This 3/4acre lot is already cleared to start your new home at an unmatched affordable price! Located approximately 6 miles from Kingsley and 12 miles from Traverse City. The approved builder for Center Place is Eastwood Custom Homes, call them today to discuss affordable home plan options ready for you to compliment this country parcel.

CONTACT US

Interested in
Vacation Stays?

Manitou Life Stays

Interested in Vacation
Property Services?

Manitou Life Services