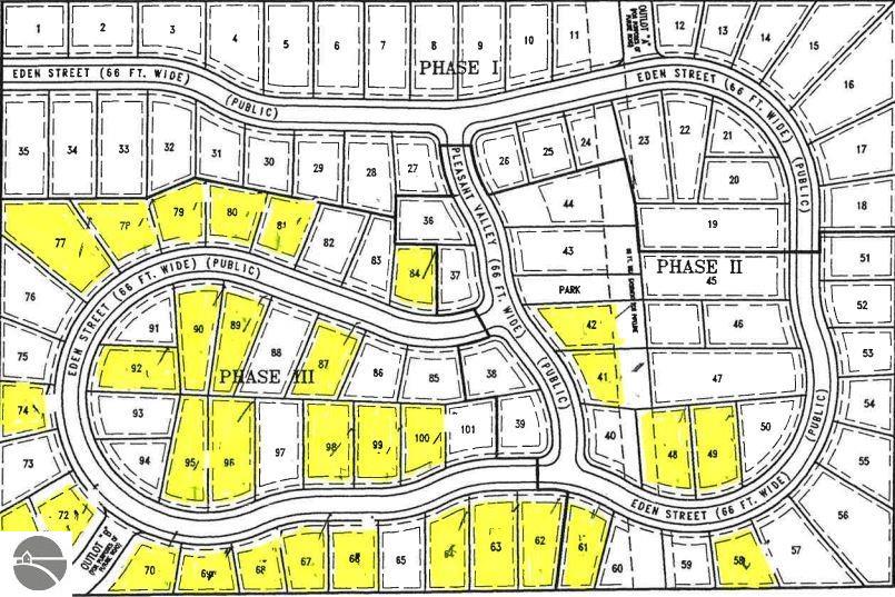
Lot 61 Eden Street, Kingsley

Driving Directions

$29,900

202 N. First St.
Leland, MI    49654

(415 ) 254-1622
info@manitou-life.com

Listing is courtesy of MI Properties North Real Estate Group
231-944-5296


MLS: #1940945
  • Acres: 0.39
  • Dimensions: None
  • School District: Kingsley Area Schools
  • Township: Paradise
  • County: Grand Traverse
  • Road: Asphalt, Public Maintained Road
  • Topography: Sloped, Cleared, Wooded
  • Utilities: Natural Gas Available, Cable Available, Cable Internet
  • Zoning: Residential,Site Condominium,Deed Restrictions
  • Amenities: Common Area

Well established subdivision with underground utilities, municipal sewer and water, paved roads, nestled in beautiful hardwoods. All lots are within walking distance to award winning Kingsley Area Schools, restaurants, shopping, groceries and other local amenities. Outdoor recreation options minutes away. A short 15 mile distance to downtown Traverse City with a direct route via Garfield Road. Building restrictions in place however no HOA dues.

CONTACT US

Interested in
Vacation Stays?

Manitou Life Stays

Interested in Vacation
Property Services?

Manitou Life Services