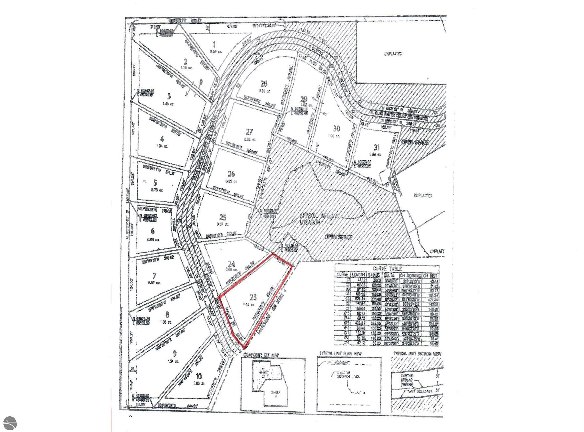
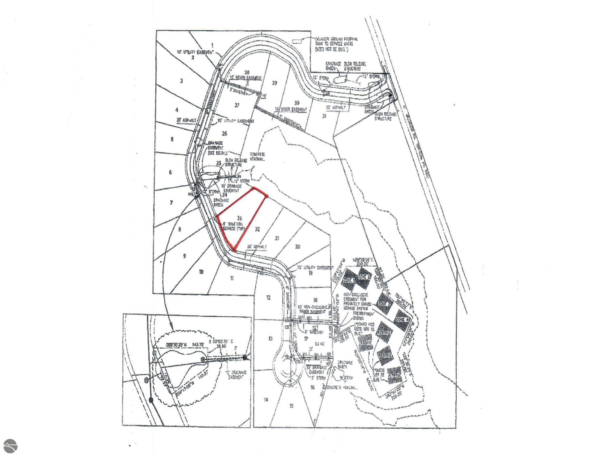
1912 N Blue Water Court, Suttons Bay

Driving Directions

$78,995

202 N. First St.
Leland, MI    49654

(415 ) 254-1622
info@manitou-life.com

Listing is courtesy of REO-TCRandolph-233022
231-946-4040


MLS: #1942969
  • Acres: 1.07
  • Dimensions: 204x286x95x354
  • School District: Suttons Bay Public Schools
  • Township: Suttons Bay
  • County: Leelanau
  • Road: Asphalt, Private Road, Association, Private Maintained Road
  • Topography: Level, Sloped
  • Utilities: Cable Available, Cable Internet
  • Zoning: Residential,Site Condominium,Bldg & Use Restrictions
  • Amenities: Common Area

Take advantage of the opportunity to build in desirable “Blue Water Ridge”. Just over an acre lot. Cleared mostly with level and gently sloping lot is great for many home designs. Convenient living location! Blue Water Ridge is an outstanding development in Suttons Bay. You will be amazed at how close you are to all the amenities that Suttons Bay and Leelanau County have to offer. Build your new home amongst other newer homes throughout development. New home plans for this lot are available for new owner!

CONTACT US

Interested in
Vacation Stays?

Manitou Life Stays

Interested in Vacation
Property Services?

Manitou Life Services